0:00
Jamaica is now in the crosshairs of a monster storm, the strongest hurricane to threaten the island in decades
0:09
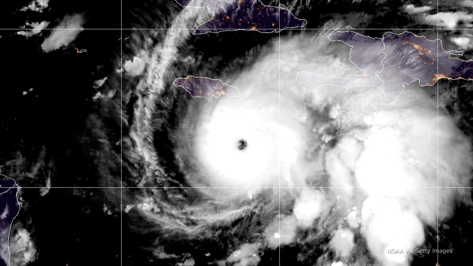
Hurricane Melissa exploded into a Category 5 storm this morning. You see the eye right there, with winds now topping 160 miles an hour
0:18
The National Hurricane Center calls it life-threatening and catastrophic as it slowly bears down on Jamaica
0:24
High surf is already pounding Kingston, waves crashing over seawalls, flooding streets
0:30
and people rushing to stock up on food, board up windows, and stack sandbags
0:35
NOAA satellite images show Melissa's well-defined eye churning about 130 miles south of Kingston
0:42
crawling at just three miles an hour. That's important because that slow movement means torrents of rain are pummeling Jamaica
0:50
Haiti, and the Dominican Republic, with flash flooding and landslides already reported
0:55
Melissa is expected to make landfall on Jamaica early Tuesday, then move across eastern Cuba and into the Bahamas by midweek
1:04
Forecasters warn of a storm surge of up to 13 feet along Jamaica's southern coast
1:09
and up to 40 inches of rain in eastern parts of the island